建筑熱水系統的任務,除開少數需要熱水的工業建筑外,大多數情況下是為生活建筑物提供符合舒適要求的水量、水壓、水質、水溫的衛生熱水。集中熱水供應系統是利用加熱設備集中加熱冷水后通過熱水管網送至建筑物中的各個熱水配水點,為保證系統熱水溫度設置循環回水管,將暫時不用的部分熱水再送回加熱設備。
一、熱水管道系統施工圖識圖準備
1、建筑整體情況分析
(1)本樓位于某城市,樓高49.800m,共14層。樓層較高,對于需要足夠的壓力方能使熱水供應上樓。
(2)本樓屬于綜合樓性質,內部包含了公共大廳、辦公室、客房等使用功能。2~14層有布局完全相同的公共衛生間,要求熱水管道系統必須把熱水配送至每個衛生間的配水龍頭;4~9層有客房衛生間,每層的客房衛生間布局不盡相同,有單個衛生間配一個管道井,也有兩個毗鄰衛生間共配一個管道井,要求熱水管道系統必須在管道井內把熱水配送至每間衛生間。
2、生活熱水系統
1)熱水供應溫度為60°C,最高日用水量為27m3。
2)熱水循環泵采用自動、手動兩種控制方式。當熱水回水水溫小于45°時啟動水泵,回水水溫達到50°C時停泵。
(1) 生活衛生熱水的標準供給溫度:60°C 。查詢規范可得樓內各空間中每個人的熱水定額,然后可計算出整幢建筑物的最高日熱水用水量。
(2) 本條敘述熱水循環泵的控制方式。根據熱水回水溫度決定啟停熱水泵的方式屬于自動控制方式。通過這條我們得知,整個熱水管網內的熱水溫度是不應低于45°C的。
二、熱水管道系統的負一層內容識圖
熱水管道系統屬于給水系統的范疇,所以我們援引生活給水系統的識圖方法和順序來對室內消火栓系統進行識讀。我們做好上述識圖準備之后,開始從本教材所提供的某綜合樓給排水工程施工圖的熱水管道系統圖開始閱讀。在閱讀此系統圖的時,我們采用先簡后繁的順序來逐步閱讀。并隨時在相關的平面圖上印證。通讀后,發現本圖的右邊偏下的地方,有兩臺水泵及一套管道、管件。我們根據地面符號截取負一層內容:

圖2.37 熱水循環泵及管道系統圖

圖2.38 熱水循環泵及管道平面圖前面的章節中學習過生活給水泵、消火栓給水泵的識圖,圖2.37和圖2.38中關于管道穿墻、水泵、標高、閥門等我們都能識讀清楚。但熱水循環泵及管道與生活給水和消火栓系統有相同和不同之處:
(1)設備表,查詢到兩臺熱水循環泵是一用一備。
(2)熱水循環泵吸入口與生活給水泵和消火栓給水泵不同,熱水循環泵吸入口在RL-10連接出來的管道上。
(3)熱水循環泵壓出口連接熱水機組。
(4)綜合(2)(3),得知熱水循環泵是位于管網中間,提供管網內熱水循環的動力設施,水由管道中來,輸往管道中去。
(5)此二圖中,管道和熱水機組之間的連接沒有在圖紙上表達出來。這部分內容是經過給排水、暖通二專業協商,由暖通專業進行設計。
(6)在熱水循環泵壓出口和熱水機組進水口的連接處,設置了來自JL-12的冷水補水管,樓層中各配水點消耗了的水量,均由此管補充。補充后立即在熱水機組中加熱。前述2.3.3.1中有關于JL-12的相應內容。
(7)本二圖中標有水流方向,有助于我們熱水系統運行流程的理解。
三、熱水管道系統一~四層的內容識圖
通觀熱水管道系統圖,我們會發現在圖面上中間偏左偏下部位的內容比較繁雜,標高范圍在±0.00和11.400m之間,簡化后,根據熱水系統流程,添加水流方向箭頭,得到下圖:

圖2.39 熱水管道系統圖1~4層部分查詢一、二、三層給排水管道平面圖,水施-04、05、06后得到下二圖:

圖2.40 熱水管道系統圖一層平面圖圖

2.41 熱水管道系統圖二層平面圖因三層沒有熱水配水點,所以在圖2.39、圖2.40、圖2.41中,可以清晰地看出:
(1)水流由RL-2經過減壓閥(閥后壓力0.15MPa)減壓流下,連接二層4.200m以上的五角星形位置的支管,在此之前,在7.700m的高度,分出一支DN25的橫管,橫向行至合適位置,再經由RL-3立管流下,連接一層公共衛生間內的兩個熱水龍頭。
(2)在系統圖中,此處管網本身轉折、交叉較多,又受到RL-7立管的影響。所以圖面較繁雜,不易看懂。我們認清此處:

管道斷開的符號,應把RL-7立管及其橫管從四層以下的管路中排除。
(3)圖2.39中右下角的二層標高符號

是標注RL-2立管的。
(4)我們保持系統圖中的空間關系不變,但是延伸減壓閥以下的管線,可以把圖2.39轉化為:https://www.jiexiantu.com/

圖2.42 熱水管道系統圖1~4層部分(轉化圖)
(5)圖2.42就比較便于我們對這部分的識圖理解了。
(6)圖2.39中五角星形位置連接的支管,其系統圖位于RL-2立管13層的位置。截取出來如:


圖中,熱水橫管標高43.850m,高于樓層0.65m(43.850-43.200=0.65m),此橫管的高度適用于本樓此位置的任何一根熱水橫管。同樣我們可知,圖2.47中,二層五角星形位置的熱水橫管的標高應為:4.850m(4.200m+0.65=4.850m)。
(7)這些內容都可以在水施-04,一層給排水管道平面圖中一一得到印證。
四、熱水管道系統的四~九層內容識圖
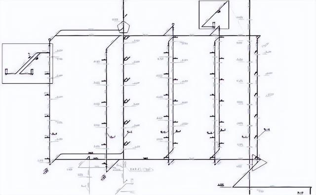
通觀本教材所提供的某綜合樓給排水工程施工圖的消火栓給水管道系統圖,我們會發現在四~九層部分管道相當整齊。保留系統圖中的四~九層內容。把其他樓層的內容淡化,得到下圖:

圖2.43 熱水管道系統圖4~9層部分運用前述生活給水系統,2.3.4和2.3.5中獲得的知識和識圖能力,在圖2.43中,可以看出:
(1)四~九層中,設置有RL-1、2、4~10共九根熱水立管。九層頂部、十層樓板下設置有一根橫管,四層樓板下,11.000m的位置設置有一根橫管。
(2)根據前述內容,RL-1立管是從熱水機組出來的,水流方向向上。其余八根立管水流方向向下。
(3)RL-2立管供應公共衛生間和相鄰客房衛生間的熱水配水點。RL-4~10立管供應客房衛生間熱水配水點。
(4)熱水由RL-2立管送下,在五角星形處分支,在RL-10立管三角形位置匯合。形成一個封閉循環管網。
(5)左邊方框區域內的內容,是毗鄰衛生間通過一根熱水立管供應熱水的橫支管系統圖。放大后得到:


RL-4~9六根立管的熱水橫支管形式均同此。
(6)右上角方框內,是單衛生間通過一根熱水立管供應熱水的橫支管。放大后得到


RL-2~10二根立管的客房衛生間熱水橫支管形式均同此。
(7)RL-1立管在四~九層間沒有連接任何橫支管。
(8)為排出熱水管網中的氣體,在RL-4、10立管的頂端,設置了自動排氣閥。
五、熱水管道系統在十層以上的內容識圖

圖2.44 熱水管道系統十層以上系統圖在圖2.44中,熱水系統變得清晰、簡單:
(1)共有RL-1、2兩根立管穿行在十層以上,并上至屋頂、連接水箱。
(2)RL-1上行至55.300m處轉折接入水箱,水箱出水管在55.800m處出來下行到50.100m處橫貫整個樓面,連接RL-2立管。
(3)RL-2立管在十層以上,僅供應公共衛生間熱水配水點。其支管的內容在2.6.3中提及。
(4)屋頂熱水箱的系統圖、平面圖:


綜合屋頂熱水箱的系統圖和平面圖,本身就比較簡單的屋頂熱水箱的設置和相關管道的構造就一目了然了。
(5)熱水箱和給水系統的屋頂水箱對比,同樣都有溢流及泄空管,但是熱水箱沒有透氣管,僅有一個自動排氣閥。
來源:百家號-水暖知識分享




